October 13, 2025 


    We’ve had these beetles invade the house before, but not like this!. Ah, yes, its the 13th and a Monday…

This collection is just from last night in the Great Room. They are everywhere!

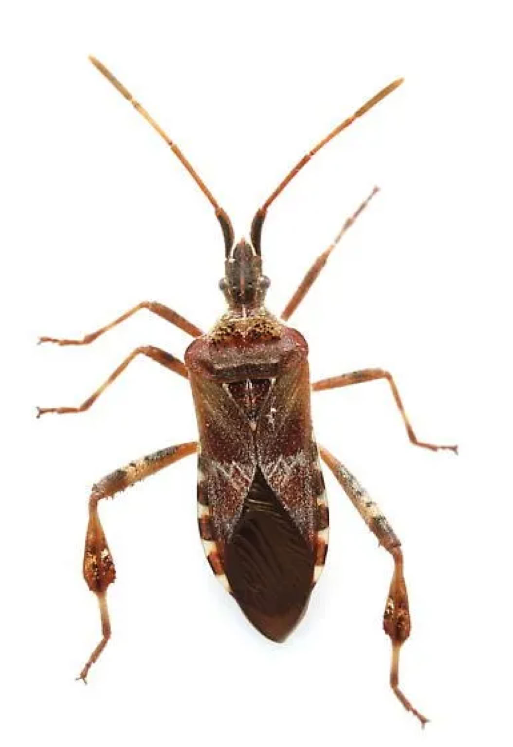
But, what are they? Martin had an awful time getting this shot. With lots of post processing enhancement, he finally got this, which should be good enough to id the bug with.


Our informal name for them has been “click beetles” because of the sound when they land (hard) on our windows.

Ah, Ha, from https://extension.psu.edu/western-conifer-seed-bug we have a match! This is Western conifer seed bug.


Scientific name: Leptoglossus occidentalis Heidemann, 1910


Family: Coreidae (Leaf-footed bugs)


Order: Hemiptera (True bugs)